We have dabbled in a fair amount of crafts over the years - knitting, check; scrapbooking, check; sewing our own clothes (or at least costumes), check. But apart from a brief foray into knitting felted hearts to use as patches and an even briefer one into the world of mini-zines, we have generally shied away from anything miniature. The eyestrain! The fiddliness! The attention to detail! We've just never had the patience. But we are amazed by the amount of crafts that can be accomplished in miniature, from baking to creating tiny weapons to model-building to gardening to book-making. Do you like to create in miniature? Let us know your craft of choice in the comments! Or, for inspiration, check out our list below.
The Fairy House Handbook by Liza Gardner Walsh
Fairy Gardening: Create Your Own Magical Miniature Garden by Julie Bawden-Davis
Microcrafts: Tiny Treasures to Make and Share compiled by Margaret McGuire, Alicia Kachmar, Katie Hatz and friends
Teeny-Tiny Mochimochi: More Than 40 Itty-Bitty Minis to Knit, Wear, and Give by Anna Hrachovec
Amigurumi Toy Box by Ana Paula Rímoli
Carving Japanese Netsuke For Beginners by Robert Jubb
Mini Weapons of Mass Destruction: Build Implements of Spitball Warfare by John Austin
Miniature Scrapbooks: Small Treasures to Make in a Day by Taylor Hagerty
New Ideas for Miniature Bobbin Lace by Roz Snowden
Miniature Worlds in 1 1/2 Scale by Susan Penny
Basic Scenery For Model Railroaders by Lou Sassi
Pocket Pies: Mini Empanadas, Pasties, Turnovers and More by Pamela Clark
A Beginner's Guide to the Dolls' House Hobby by Jean Nisbett
Making Miniature Dolls With Polymer Clay by Sue Heaser
Minigami: Mini Origami Projects For Cards, Gifts and Decorations by Gay Merrill Gross
Terrarium Craft: Create 50 Magical, Miniature Worlds by Amy Bryant Aiello
Terrariums Reimagined: Mini World Made in Creative Containers by Kat Geiger
Exquisite Miniatures in Cross Stitch and Other Counted Thread Techniques by Brenda Keyes
More Making Books By Hand: Exploring Miniature Books, Alternative Structures, and Found Objects by Peter Thomas [eBook]
50 Yards of Fun: Knitting Toys From Scrap Yarn by Rebecca Danger
Mini Skein Knits: 25 Knitting Patterns Using Small Skeins and Leftovers by Lark Crafts
Tuesday, October 17, 2017
Thursday, October 12, 2017
Hayao Miyazaki's Best Loved Children's Books
![]() |
| MIYAZAKI'S SPIRITED AWAY (2001). Photography. Britannica ImageQuest, Encyclopædia Britannica, 25 May 2016. quest.eb.com/search/144_1539868/1/144_1539868/cite. Accessed 10 Oct 2017. |
The Borrowers by Mary Norton
Swallows and Amazons by Arthur Ransome
The Flying Classroom by Erich Kästner
Hans Brinker, or The Silver Skates by Mary Mapes Dodge
The Secret Garden by Frances Hodgson Burnett
Eagle of The Ninth by Rosemary Sutcliff
The Three Musketeers by Alexandre Dumas, père
A Wizard of Earthsea by Ursula K. Le Guin
The Secret Garden by Frances Hodgson Burnett
Eagle of The Ninth by Rosemary Sutcliff
The Three Musketeers by Alexandre Dumas, père
A Wizard of Earthsea by Ursula K. Le Guin
The Long Winter by Laura Ingalls Wilder
Heidi by Johanna Spyri
The Adventures of Tom Sawyer by Mark Twain
Little Lord Fauntleroy by Frances Hodgson Burnett
The Adventures of Sherlock Holmes by Arthur Conan Doyle
From the Mixed-Up Files of Mrs. Basil E. Frankweiler by E. L. Konigsburg
Alice's Adventures in Wonderland by Lewis Carroll
The Little Bookroom by Eleanor Farjeon
Winnie-the-Pooh by A. A. Milne
Strange Stories from a Chinese Studio by Pu Songling [eBook]
Robinson Crusoe by Daniel Defoe
The Hobbit by J. R. R. Tolkien
Journey to the West by Wu Cheng'en [eBook]
Twenty Thousand Leagues Under the Sea by Jules Verne
Treasure Island by Robert Louis Stevenson
The Wind in the Willows by Kenneth Grahame
The Little Humpbacked Horse by Pyotr Pavlovich Yershov
The Little White Horse by Elizabeth Goudge [eAudiobook]
The Little Humpbacked Horse by Pyotr Pavlovich Yershov
The Little White Horse by Elizabeth Goudge [eAudiobook]
The Voyages of Doctor Dolittle by Hugh Lofting
Tuesday, October 10, 2017
Happy Belated Birthday, Pema Chodron
Paper lotus flowers. Photo. Britannica ImageQuest, Encyclopædia Britannica, 25 May 2016.
quest.eb.com/search/300_260268/1/300_260268/cite. Accessed 29 Aug 2017.
quest.eb.com/search/300_260268/1/300_260268/cite. Accessed 29 Aug 2017.
When Pema traveled to the French Alps, she met Lama Chime Rinpoche and began her Tibetan Buddhism studies. She began her novitiate as a nun in 1974 and when the Sixteenth Karmapa to England where she was studying, Pema was official ordained.
Pema's most profound and enlightening experiences as a student were with her teacher Chögyam Trungpa Rinpoche, until his death in 1987. In 1984, Pema moved to Cape Breton, Nova Scotia and became the director of Gampo Abbey and established a monastery for Western monks and nuns. Pema teaches in the United States and Canada and has recently completed an extended silent retreat.
Reading Pema Chödrön's books can help people from any faith perspective - or no faith at all, take responsibility for one's feelings, entrenched complexes, and cultivate a compassionate detachment from fear, self-absorption, and delusions. Her wisdom and clarity makes even the most challenging day possible to get through with some compassion and grace. I turn to Pema Chödrön for guidance and to see how a grown-up would handle any situation. Pema Chödrön isn't a perfect person, which she cheerfully owns up to by sharing her own experiences that anyone could relate to. What she holds out is the hope of trying again to get back onto the path when we are lead astray by our pride and expectations.
Always Maintain a Joyful Mind: And Other Lojong Teachings On Awakening Compassion and Fearlessness by Pema Chödrön
Comfortable With Uncertainty: 108 Teachings on Cultivating Fearlessness and Compassion by Pema Chödrön
Comfortable With Uncertainty: 108 Teachings on Cultivating Fearlessness and Compassion by Pema Chödrön
Fail, Fail Again, Fail Better by Pema Chödrön
How to Meditate: A Practical Guide to Making Friends With Your Mind by Pema Chödrön
Living Beautifully With Uncertainty and Change by Pema Chödrön
The Myth of Freedom and the Way of Meditation by Chögyam Trungpa
No Time to Lose: A Timely Guide to the Way of the Bodhisattva by Pema Chödrön
Practicing Peace In Times of War by Pema Chödrön
Start Where You Are: A Guide to Compassionate Living by Pema Chödrön
Taking the Leap: Freeing Ourselves From Old Habits and Fear by Pema Chödrön
Training the Mind and Cultivating Loving Kindness by Chögyam Trungpa
When Things Fall Apart: Heart Advice For Difficult Times by Pema Chödrön
The Wisdom of No Escape: and the Path of Loving-Kindness byPema Chödrön
Thursday, October 5, 2017
Budget Cinema: Some Incidents in the History of B Movies
![]() |
|
CREATURE FROM THE BLACK LAGOON (1954) - ADAMS, JULIE. Photography. Britannica ImageQuest, Encyclopædia Britannica, 25 May 2016.
quest.eb.com/search/144_1533771/1/144_1533771/cite. Accessed 13 Sep 2017. |
In the 1950s, feature films got longer - 70 minutes or more, rather than an hour - and the double feature fell out of favor. B movie became a blanket term used for genre films with formulaic plots and cheap production values. These films helped create the drive-in cinema business, which skyrocketed between 1945-55, and launched the career of one of the most famous names in the history of B movies, Roger Corman, and another big name in B, William Castle, who specialized in gimmicks. "For The Tingler, which starred Vincent Price, the theater seats were wired with buzzers, which would make the seats vibrate when the tingler supposedly escaped into the theater," the website B-Movie Central reports.
In the 60s and 70s, B movies came to include exploitation films, as the film industry's adherence to the Motion Picture Production Code relaxed and finally ended in 1968. Major studios were no longer making B films, and these exploitation films - which often "graphically depicted the wages of sin in the context of promoting prudent lifestyle choices" - ultimately became the whole market, ranging from "sexploitation" to "blaxploitation" films, except for the rise of kung fu (sometimes called "Brucesploitation") and "slasher" films in the 1970s. Some famous names came out this era - John Waters, Melvin Van Peebles, Brian de Palma, Russ Meyer, George A. Romero, Tobe Hooper, Francis Ford Coppola - with some later achieving mainstream fame and others becoming cult classics. Easy Rider, with its themes of hippies, drug use, and communal living, became the first movie under the exploitation umbrella to debut at the Cannes Film Festival. The Rocky Horror Picture Show is a spoof of B movie tropes.
As cinema moved into the 1980s, the era of the star-studded blockbuster began. There was still a lot of low-budget horror films being made, and Troma Pictures, which got its start in 1974, was still "disrupting media." But there were more independent films being made in the last years of the 20th century, and it's important to remember that an independent or arthouse film is not the same as a B movie.
It has been suggested that recent technological advances have made it easy to make low-budget motion pictures again, and digital cameras allow any filmmaker to make films with reasonably good image quality and effects. Is the B-movie ready to make a comeback? Well, The Guardian suggests:
So here’s a suggestion: a two-tier cinema system. Your blockbusters in one league, and a separate circuit for lower-budget movies, with much cheaper tickets. For a long time, this was how movies operated... Now it’s serious dramas that are the B-movies, pushed to the margins along with what we used to call 'arthouse' movies: challenging, non-mainstream, maybe foreign movies. These are cinema’s endangered species. So why not put them all in a separate type of cinema and charge half the price? It would be a cheaper night out for punters and a proving ground for new talent.
Or, do you agree with Wired that "In 2017, 'genre' is no longer a niche, and nearly *every *movie feels like a midnight movie—albeit the kind you no longer need need to stay up all evening to enjoy." Whatever your take on the subject, why not take a little time to delve deeper into B movies of the past? The library catalog is here to help, with some likely contenders listed below:
Hail to the Chin: Further Confessions of a B Movie Actor by Bruce Campbell with Craig Sanborn
Death on the Cheap: The Lost B Movies of Film Noir by Arthur Lyons
Opening Wednesday at a Theater or Drive-In Near You: The Shadow Cinema of the American '70s by Charles Taylor
The Disaster Artist: My Life Inside The Room, The Greatest Bad Movie Ever Made by Greg Sestero, Tom Bissell [eAudiobook]
Foxy: A Life in Three Acts by Pam Grier with Andrea Cagan
DVDs
The House on Haunted Hill
The Return of the Living Dead
Barbarella
The Blob
John Dies At the End
Evil Dead
They Live
Machete
Creature from the Black Lagoon
Brother From Another Planet
Tremors
Forbidden Planet
Schlock: Secret History of American Movies
American Grindhouse
Corman's World: Exploits of a Hollywood Rebel
The Ed Wood Awards: The Worst Horror Films of All Time
Links
The 100 Best "B Movies" of All Time [Slate]
15 Awesome B-Movies You Need To See [Screen Rant]
Attack of the B Movies! 50 of the Best Schlocky Titles of All Time [Hollywood Reporter]
Tuesday, October 3, 2017
Beerstorming, One Draught at a Time
![]() |
|
Five glasses of beer. Photography. Britannica ImageQuest, Encyclopædia Britannica, 25 May 2016.
quest.eb.com/search/156_2393568/1/156_2393568/cite. Accessed 9 Sep 2017. |
Beer Guides
The Complete Beer Course: Boot Camp For Beer Geeks - From Novice to Expert in Twelve Tasting Classes by Joshua M. Bernstein
Vintage Beer: A Taster's Guide to Brews That Improve Over Time by Patrick Dawson
Beer For All Seasons: A Through-the-Year Guide of What to Drink and When to Drink It by Randy Mosher [eBook]
The Beer Geek Handbook: Living a Life Ruled by Beer by Patrick Dawson
World Beer: Outstanding Classic and Craft Beers From the Greatest Breweries by Tim Hampson
Great American Craft Beer: A Guide to the Nation's Finest Beers and Breweries by Andy Crouch [eBook]
Brewing
So You Want to Start a Brewery?: The Lagunitas Story by Tony Magee
Craft Beer for the Homebrewer: Recipes From America's Top Brewmasters by Michael Agnew et al.
The Craft of Stone Brewing Co.: Liquid Lore, Epic Recipes, and Unabashed Arrogance by Greg Koch [eBook]
The Good Beer Book: Brewing and Drinking Quality Ales and Lagers by Timothy Harper
Beer Cookbooks
The American Craft Beer Cookbook: 155 Recipes From Your Favorite Brewpubs and Breweries by John Holl
The Brewmaster's Table: Discovering the Pleasures of Real Beer with Real Food by Garrett Oliver
Beer History
The Comic Book Story of Beer: The World's Favorite Beverage From 7000 BC to Today's Craft Brewing Revolution by Jonathan Hennessey and Mike Smith
The Search for God and Guinness: A Biography of the Beer That Changed the World by Stephen Mansfield
Brewed Awakening: Behind the Beers and Brewers Leading the World's Craft Brewing Revolution by Joshua M. Bernstein
Local Beer
New Mexico Beer: A History of Brewing in the Land of Enchantment by Jon C. Stott
Albuquerque Beer: Duke City History on Tap by Chris Jackson
DVDs
Crafting a Nation
Brew Masters
Brewmore Baltimore: A Full-Flavored History
Thursday, September 28, 2017
One Block, Nine Maps: Are You Ready For the Map Festival?
![]() |
| Compass Rose from map of sewer system, 1890-1892? |
A guest post written by Eileen O’Connell, Branch Manager of Special Collections.
To celebrate our rapidly approaching map festival, we thought it would be fun to trace the history of one city block using nine maps. To orient the contemporary view, take a look at the 2016 aerial map of the 500 block of 12th Street NW. The block is block number 24 of the Perea Addition, bounded by Lomas Boulevard on the north, 11th Street on the east, Fruit Avenue on the south, and 12th Street on the west. The number superimposed over the structures are address numbers.
The earliest map we have at Special Collections that clearly shows this block was published in 1889 and was compiled by the Real Estate Title Insurance Company of New Mexico. It labels the block as block 24 of the Albuquerque Town Site Co. Addition. Of the north-south streets visible in this photo, only Tijeras's name remains unchanged. Block 24 is bounded north and south by Otero and Harrison avenues, respectively.
The W.4 designation refers to the Fourth Ward, a political boundary for the voting and school district.
This map is one of a set of maps produced by H. D. Johnson and Edward A. Pearson that show the layout of Albuquerque's Sewer System. It is also a puzzle for the researcher. We estimate it was produced between 1890 and 1892. An April 18, 1891 article in the Albuquerque Weekly Citizen takes citizens to task for "indulging in adverse criticism" of the contractor tasked with building the system. Johnson is listed in the 1892 Albuquerque city director as an architect. The 1892 city directory also shows that the north-south street names are now New York Avenue and Fruit Avenue.
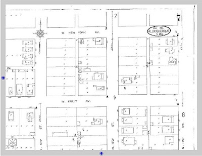
Real estate records show that Block 24 of the Albuquerque Town Site Co. Addition became block 24 of the Perea addition in 1900. Although block 24 of the Perea Addition is shown on the index sheet for the 1908 Sanborn map, this map from the Sanborn Maps eResource is the first to show the block in detail. Thomas T. Skinner is listed in the 1913 city directory as a resident in the dwelling on lots 9 and 10; his occupation is listed as manager of the family's grocery store.
![]() |
| Digital Sanborn Map of Albuquerque, New Mexico, May 1913, Sheet 7 |
Although the 1920 map compiled by J.F. Brozo for the Albuquerque Title Guaranty Co. is more colorful, the 1920 sewer map is more interesting. The sewer map lists names of property owners to be assessed for sewer extensions and improvements. Amid the familiar Albuquerque names on block 24 and block 8 (due south) are Huning, Hebenstreit, Luna, Mann, and Simms. Running crossways along the west side of block 24 across lots 3-8 is the name Soo Hoo Pong. The exclusion laws severely limited Albuquerque's Chinese population, but brothers Soo Hoo Pong and Soo Hoo Nong and business partner Ah Kee were well known as proprietors and managers of the Los Angeles Restaurant at 217 West Central. The Records indicate that the brothers were real estate investors as well.
![]() |
| 1920 Brozo Map |
![]() |
| 1920 Sewer Map |
The 1924 and 1931 Sanborn Maps show rapid development on the west half of block 24 in the six year interval between map editions. The scale for both maps is 100 feet to 1 inch, "D' over the outline of a structure indicates "dwelling."
![]() |
| 1924 |
![]() |
| 1931 |
Although it doesn't label lots and blocks, the 1952 First National Bank map of Albuquerque still references the Perea Addition. It also shows the new name and new alignment for the former New York Avenue. Lomas Boulevard was the result of a street realignment that affected New York Avenue, Las Lomas, Campus Boulevard, and the Menaul Diagonal. The realignment was part of a larger traffic plan for Albuquerque which was accompanied by several street name changes and the shift to the quadrant system that divides Albuquerque NE, NW, SE, SW along the Central Avenue and Railroad Axes.
Tuesday, September 26, 2017
The Life You Save May Be Your Own: Memoirs of Self-Discovery
![]() |
| Girl wearing snorkeling apparatus at the beach. Photography. Britannica ImageQuest, Encyclopædia Britannica, 25 May 2016. quest.eb.com/search/154_2892984/1/154_2892984/cite. Accessed 8 Sep 2017. |
What does it take your change your life? We always think the answer can be found in a book. Some folks recommend non-fiction to "help you stop worrying, stop being tired, and stop feeling overwhelmed — and start excelling in your field, embracing life's opportunities for adventure, and being happier every day," with the emphasis on teaching you new behaviors. Some suggest that if you read a book wherein the "end message is that life is filled with possibilities, if you let it be,"or a similar message, can be helpful, even if it's fictional.But sometimes, we think, you just need to read a book that shows that someone has succeeded in changing their life before, in ways you might find galvanizing or might want to emulate.
There is certainly no dearth of titles out there for those looking to prod themselves into making a change - speeding things up, slowing things down, doing things differently. Maybe you've already read inspirational books like Gift from the Sea, Love Warrior, and Rising Strong. Or tales of life-changing adventure such as Under The Tuscan Sun: At Home in Italy, Eat, Pray, Love: One Woman's Search for Everything Across Italy, India, and Indonesia, and Wild: From Lost to Found on the Pacific Crest Trail. But maybe none of these titles resonated with you, or you just want more ideas. Never fear! We've compiled a list of other books that might help you deal with adversity, start you on a quest, or at least boost your spirits.
H is for Hawk by Helen Macdonald
The Glass Castle by Jeannette Walls
The Year of Magical Thinking by Joan Didion
Tales of a Female Nomad: Living at Large in the World by Rita Golden Gelman [eAudiobook]
A Year By the Sea: Thoughts of an Unfinished Woman by Joan Anderson
Blackout: Remembering the Things I Drank to Forget by Sarah Hepola
Stir: My Broken Brain and the Meals That Brought Me Home by Jessica Fechtor
Girl in the Woods by Aspen Matis
Lit by Mary Karr
Tracks: A Woman's Solo Trek Across 1700 Miles of Australian Outback by Robyn Davidson
Claiming Ground by Laura Bell
Let's Take the Long Way Home: A Memoir of Friendship by Gail Caldwell
List
The Exhilarating Delight of Reading About Women in Search of Themselves [Oprah]
All the best, most kick-ass female memoirs you need to read [Hello Giggles]
The Memoir of Discovery (Not Recovery) [Kirkus]
Subscribe to:
Posts (Atom)















